In evidenza Cod.: 799

210.000,00

  • 2 Camere
  • 1
  • 165mq

A San Martino, in posizione centrale comoda a tutti i servizi, vendiamo casa indipendente libera su tre lati con scoperto privato e doppio garage.
L'immobile sarà venduto ristrutturato a spese e cure dell'attuale proprietario; in fase di rifacimento: pavimenti, bagno, impianto idraulico, impianto elettrico, caldaia, porte interne; possibili personalizzazioni.
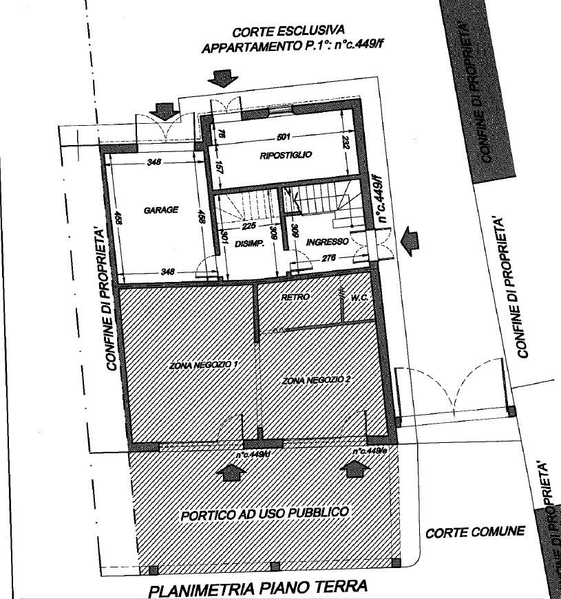
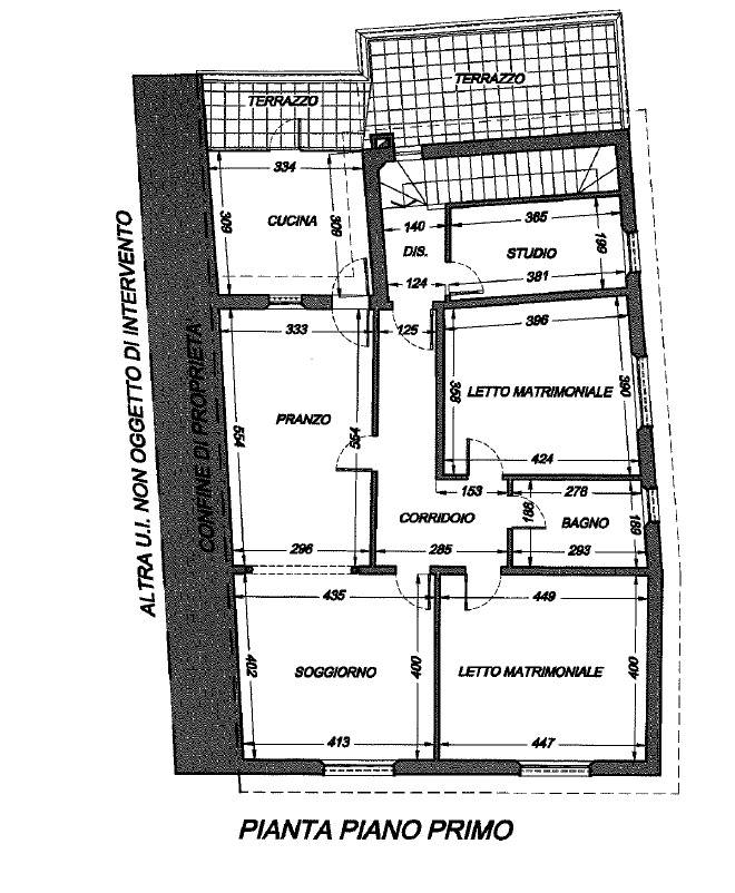
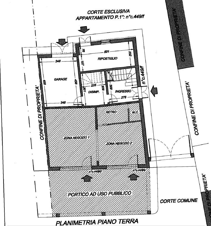
L'abitazione è disposta al piano terra con ingresso, disimpegno, ripostiglio, magazzino; al primo piano ampio salone, sala da pranzo con angolo cottura, due camere da letto matrimoniali, studio, terrazzo verandato con predisposizione di una seconda cucina esterna, ampio terrazzo abitabile, bagno finestrato.
Di pertinenza dell'immobile due garage di cui uno con accesso diretto alla casa e un ampio giardino.
Ottima esposizione a Est, Ovest e Sud che garantisce massima luminosità alla casa. Utenze autonome con caldaia di nuova generazione oltre a due e split per aria condizionata.
La descrizione e le foto sono solo indicative ed a scopo pubblicitario

Dettagli immobile
  • Metri quadri 165
  • Numero bagni 1
  • Camere 2
  • Zona Ferrara
  • Giardino Privato
  • Risc. autonomo Autonomo
  • Terrazzo Presente

Richiedi informazioni

Informativa

Noi e terze parti selezionate (come ad esempio Google, Facebook, LinkedIn, ecc.) utilizziamo cookie o tecnologie simili per finalità tecniche e, con il tuo consenso, anche per altre finalità come ad esempio per mostrati annunci personalizzati e non personalizzati più utili per te, come specificato nella .
Chiudendo questo banner con la crocetta o cliccando su "Rifiuta", verranno utilizzati solamente cookie tecnici. Se vuoi selezionare i cookie da installare, clicca su "Personalizza". Se preferisci, puoi acconsentire all'utilizzo di tutti i cookie, anche diversi da quelli tecnici, cliccando su "Accetta tutti". In qualsiasi momento potrai modificare la scelta effettuata.